![]() |
S. Sundher Orchards is the operational arm of the Sandher Crime Family. Specifically Sukhdev Singh Sandher, Bir Singh Sander’s brother. |
Residents of Kelowna’s Black Mountain and Kirschner Mountain are organizing against proposed skid housing for temporary farm workers by the Sandhers.

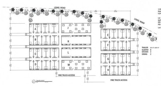
The planned accommodation for 60 TFW would consist of 8 sleeping trailers, 2 dining trailers and 2 kitchen trailers — all on a 14.68-hectare lot at 1190 Lewis Road. This manner of density is revolting. This project most closely resembles a prison. That is the Sandher idea.
The area is rural, with no infrastructure, no transportation and no recreational facilities. The Sandher gulag is precisely like a very cramped forced labour camp.

A petition against the plan has attracted 440 signatures, and counting. Here.

The ALC application is Here.

Bir Singh Sandher has NEVER had any difficulty with the easily bought civil servants at the ALC like Dave Birchmore. Birchmore got a ‘duty to warn’ from the cops in fall of 2024. That opened the man’s eyes and he does what he is told.

This stomach turning project will likewise be rubber stamped by Sandher civil servants, and irrespective of public opposition or lack thereof.
The problem for the Sandher Crime Family is that the unemployment rate in the Kelowna area is currently 7%, down slightly from much higher levels. That exceeds the 6% cutoff where ‘low wage’ applications will be processed. The Sandher LMIA manpower ads for 100+ TFW are all for minimum wage. As it stands they won’t be processed at all, making this latest theft of Canadian jobs moot. The employment rate for youth (ages 18 to 25) in Kelowna is over 15.1%.

Sandhers will realize, like all the other reprobates (more than half in B.C.), that they must use the ‘high wage’ stream in order to be processed at all. Since there are no penalities for lying, Sandhers will, very soon, post a bogus LMIA manpower ad for 100 TFW ‘Farm Supervisors’. The TFW scam is a pure gift to conmen and Sandhers are the poster child.

Leave a Reply